Từ Siêu Bão Ragasa Đến Bualoi: Khoảng Lặng Và Những Bài Học Khẩn Cấp Để 'Sống Chung' Với Biển Đông
Sau Ragasa, Việt Nam rút ra bài học gì? Khám phá cách các cộng đồng chuyển mình từ ứng phó thụ động sang chủ động thích nghi, sẵn sàng cho những mùa bão phức tạp hơn.

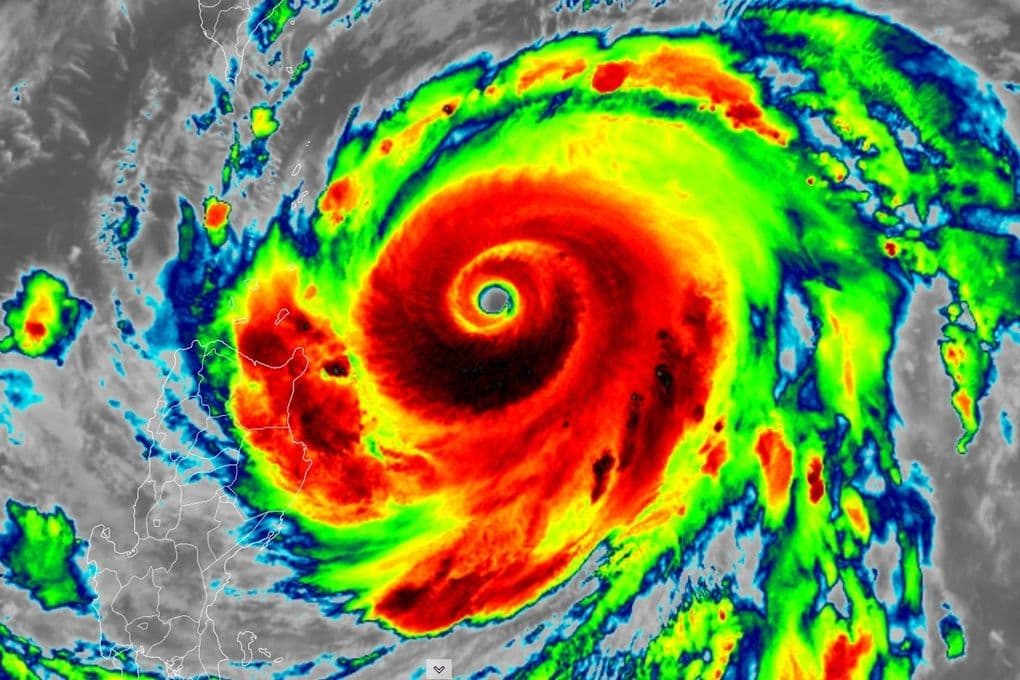
Ragasa: Một Cơn Bão Đa Diện Và Sự Biến Động Khó Lường
Biển Đông, vốn dĩ đã là một vùng biển đầy thử thách, lại càng trở nên khó đoán hơn qua mỗi mùa bão. Cơn bão số 9, mang tên quốc tế , là một minh chứng rõ nét cho sự phức tạp và khó lường của thiên nhiên. Ban đầu được dự báo là một siêu bão với sức gió giật trên cấp 17, Ragasa đã càn quét , gây ra thiệt hại nghiêm trọng với 14 người thiệt mạng và 18 người bị thương, trước khi hướng về đất liền và tiệm cận . Điều đáng chú ý là dù suy yếu xuống cấp 11-12, giật cấp 15 khi cách khoảng 170km, Ragasa vẫn tiềm ẩn mối đe dọa khôn lường. Sự biến đổi cường độ và quỹ đạo liên tục của nó, từ siêu bão đến bão mạnh, đòi hỏi một tư duy ứng phó linh hoạt và không chủ quan. Những bản đồ dự báo liên tục cập nhật vị trí và cường độ đã vẽ nên một bức tranh về một cơn bão 'đa diện', buộc chúng ta phải luôn trong tư thế sẵn sàng cho mọi kịch bản, không chỉ ở cường độ cao nhất mà ngay cả khi nó đã 'giảm cấp'.

Từ Hong Kong Đến Việt Nam: Văn Hóa Ứng Phó Thay Đổi Ra Sao?
Bài học từ siêu bão Ragasa không chỉ giới hạn ở Việt Nam mà còn vang vọng từ những khu vực khác. là một điển hình về khả năng thích ứng. Rút kinh nghiệm xương máu từ siêu bão năm 2018, chính quyền Hong Kong đã có những bước chuẩn bị kỹ lưỡng, chủ động ứng phó với Ragasa – một cơn bão được đánh giá còn mạnh hơn Mangkhut về sức gió khi quét qua khu vực này (195 km/h so với 175 km/h). Họ đã phát cảnh báo bão cấp 9 và nhanh chóng nâng lên cấp cao nhất là 10, đồng thời triển khai các biện pháp phòng ngừa từ xa như cắt tỉa cây xanh. Nhờ đó, thiệt hại đã được hạn chế đáng kể. Tại Việt Nam, đặc biệt là , chúng ta cũng đang dần chuyển mình, thể hiện sự chủ động trong việc ứng phó. Các đơn vị sẵn sàng ứng trực để xử lý úng ngập, và những khuyến cáo hạn chế ra đường khi giông lốc đổ bộ đã cho thấy một sự thay đổi trong văn hóa ứng phó, từ bị động chờ đợi sang chủ động phòng ngừa, học hỏi từ kinh nghiệm quốc tế và thực tiễn của chính mình.

Hơn Cả Một Dự Báo: Biến Kiến Thức Thành Hành Động Cụ Thể
Một dự báo khí tượng chính xác, dù quan trọng đến mấy, sẽ trở nên vô nghĩa nếu không được chuyển hóa thành hành động cụ thể và kịp thời tại cộng đồng. Với Ragasa, những bản đồ quỹ đạo và cường độ bão được cập nhật liên tục không chỉ là thông tin khoa học mà còn là kim chỉ nam cho các quyết định ứng phó. Từ việc cắt tỉa cây xanh ở để giảm thiểu nguy cơ đổ ngã, đến việc các đơn vị ở Hà Nội sẵn sàng ứng trực xử lý úng ngập, tất cả đều là minh chứng cho sự chuyển giao kiến thức thành hành động. Điều cốt lõi nằm ở khả năng truyền tải thông điệp một cách rõ ràng, dễ hiểu đến người dân, cùng với việc tạo ra một sự thay đổi tâm lý, khuyến khích họ chủ động tham gia vào công tác phòng chống. Khi khuyến cáo người dân hạn chế ra đường, đó không chỉ là một mệnh lệnh mà còn là lời kêu gọi ý thức cộng đồng, biến mỗi cá nhân thành một mắt xích quan trọng trong hệ thống phòng thủ. Từ đó, mỗi dự báo không còn là thông tin xa vời mà trở thành một phần của cuộc sống, thúc đẩy hành động thiết thực.

Sẵn Sàng Cho "Chuỗi Bão": Tầm Nhìn Dài Hạn Sau Mỗi Cơn Giông
Kinh nghiệm từ Ragasa một lần nữa nhắc nhở chúng ta về sự cần thiết của một tầm nhìn dài hạn, vượt ra ngoài từng cơn bão đơn lẻ. Khi Ragasa còn chưa tan, bão (cơn bão số 10) đã hình thành và tiến vào Biển Đông với cường độ mạnh cấp 12, giật cấp 15, báo hiệu một "chuỗi bão" tiềm tàng. Thực tế này đòi hỏi Việt Nam phải xây dựng năng lực thích ứng chủ động, lấy cộng đồng làm trọng tâm, không chỉ cho một mà cho cả một mùa bão, thậm chí là cho những năm tháng biến đổi khí hậu khắc nghiệt phía trước. Đây không chỉ là việc củng cố cơ sở hạ tầng, mà còn là đầu tư vào giáo dục cộng đồng, nâng cao nhận thức về các rủi ro đi kèm như mưa lớn, lũ lụt, sạt lở đất. Việc "sống chung với Biển Đông" không chỉ là chấp nhận mà là học cách tồn tại bền vững, biến mỗi cơn bão đi qua thành một bài học giá trị, giúp chúng ta ngày càng kiên cường và linh hoạt hơn trước những thử thách của thiên nhiên.
Related Articles

Ragasa - Từ Cơn Thịnh Nộ Đỉnh Cao Đến Giấc Ngủ Bình Yên: Bài Học Biển Đông Không Ngừng Dạy Ta

Ragasa - Từ Cơn Thịnh Nộ Đỉnh Cao Đến Giấc Ngủ Bình Yên: Bài Học Biển Đông Không Ngừng Dạy Ta

Bualoi và Thử Thách Kép: Cơn Bão Số 10 Rình Rập Biển Đông Sau Dư Chấn Ragasa

Bualoi và Thử Thách Kép: Cơn Bão Số 10 Rình Rập Biển Đông Sau Dư Chấn Ragasa

Gối Đầu Bão Lớn: Bualoi Và Bài Kiểm Tra Sức Bền Không Ngừng Của Biển Đông

Gối Đầu Bão Lớn: Bualoi Và Bài Kiểm Tra Sức Bền Không Ngừng Của Biển Đông

Sức Mạnh Bất Thường Của Ragasa: Tiếng Chuông Cảnh Báo Về Kỷ Nguyên Siêu Bão Mới
